ANHYDRITE

Anhydrite – CaSO4 – is a very common anhydrous sulfate, an important constituent of evaporitic sequences and related deposits. It is a very important ore.

Anhydrite is usually very pure, but may contain Sr and Ba. It has fusibility 2 (melts in the candle flame). Anhydrite crystals reach 15 cm in length, with 40 recognized combined forms. Single or polysynthetic twins are common, by {011}. Contact twins by {120} may occur.

There are a number of varieties: “chicken wire anhydrite” is formed by a mosaic of irregular nodules, formed in tidal flats in the sabkhas of the Persian Gulf; “tripe-stone” or “bowlstone” are concretionary, gut-like concretionary masses; “angelite” is a sky blue anhydrite that is used in the production of ornamental pieces; “volpinita” is a scaly granular variety that occurs in Costa Volpino (Italy), used for ornamental purposes.

1. Characteristics

Crystal system: Orthorhombic, rhombic bipiramidal

Color: Colorless, white, bluish-gray, more rarely blue, orange, pink, reddish, yellow or violet.

Habit: Crystals (prismatic or tabular) are rare, usually form compact, granular or fibrous (parallel or radial) masses.

Cleavage: {010} and {100} perfect, {001} good, yielding pseudocubic fragments (hence the name “cube spar”).

Tenacity: Brittle.

Twinning: See above.

Fracture: Irregular.

Mohs Hardness: 3 – 3.5

Parting: No.

Streak: White to light gray.

Lustre: Pearly on {010}, vitreous on {001} and {100}.

Diaphaneity: Transparent.

Density (g/cm³): 2.9 – 3.0

 

2. Geology and Deposits

Anhydrite is a typical main component of evaporitic sequences and related deposits such as salt domes (where it is located at their tops). Initially, gypsum (CaSO4.2H2O) crystallizes, when the concentration of salts in seawater crosses the range between 68% and 88%. By dehydration of gypsum, anhydrite is then formed. The loss of water implies a reduction in volume (60%) and can form caves (“anhydrite karst”). The reaction is reversible, creating partially anhydrite, partially gypsum crystals.

In deposits of sulphide ores, it occurs in the oxidation zone. It can occur primary in hydrothermal veins. In rare cases it occurs in vesicles (cavities) of basic volcanic rocks (basalts). Anhydrite crystals can dissolve, leaving a cavity that can then be filled with quartz, amethyst, calcite, dolomite or prehnite, creating pseudomorphoses.

 

3. Mineral Associations

The association with gypsum is very common, as gypsum dehydrates to anhydrite and anhydrite hydrates to gypsum. In evaporitic sequences, in addition to gypsum, anhydrite occur with halite, sylvite, carbonates (calcite, dolomite, magnesite), illite, polyhalite, brucite, boracite, celestite and native sulfur.

In hydrothermal veins it occurs with fluorite, quartz, rhodochrosite and sulphides (galena, chalcopyrite, molybdenite, pyrite).

In cavities of volcanic rocks occurs with chalcedony, quartz (amethyst), calcite and zeolites.

 

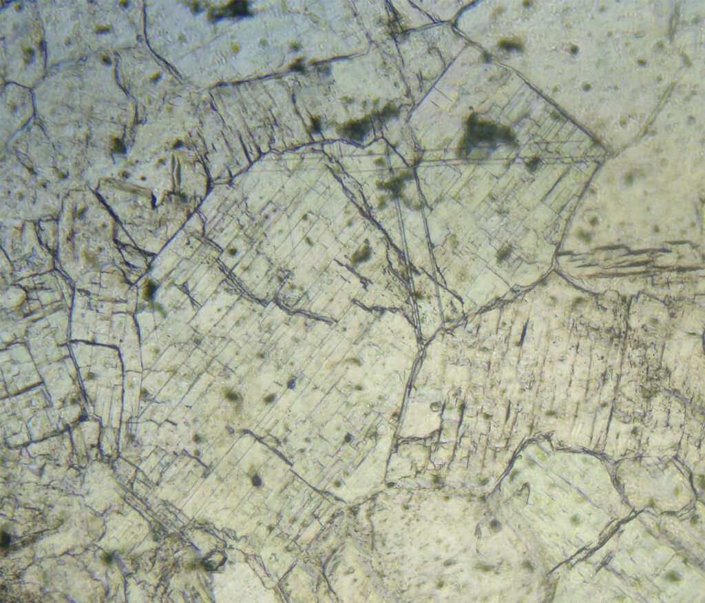
4. Transmitted Light Microscopy

Refraction indices:  nα: 1.567 – 1.574     nβ:  1.574 – 1.579    nγ: 1.609 – 1.618

PLANE POLARIZED LIGHT – PPL

Color / Pleochroism: Colorless.

Violet colored anhydrites show pleochroism:

X = colorless to very light yellow or pink,

Y = light violet or pink,

Z = violet.

Relief: Low to moderate.

Cleavage: {010} perfect, {100} very good and {001} good to imperfect.

The set of the 3 cleavages creates cubic fragments. When the crystals are tabular but very fine, cleavage is usually not observed. In larger crystals, the cleavage parallel to the elongation becomes visible.

Cleavage may be deformed due to stresses.

Habits: Crystals are tabular, anhedral to subhedral, granular, massive, fibrous (radial or plumose), curved, contorted concretionary shapes. Radial aggregates of tabular crystals of gypsum and anhydrite are possible as the two minerals often occur together.

CROSSED POLARIZED LIGHT – XPL

Birefringence and Interference Colors: High birefringence, from 0.042 to 0.044: intense colors, very colorful, up to 3rd order green.

Extinction: Parallel to the cleavage directions.

Elongation sign: ES(+) or ES(-), is not diagnostic.

Twins: Single or repeated twins (polysynthetic lamellae by pressure deformation) according to {011} are common. Contact twins are rare.

Zoning: No.

CONVERGENT LIGHT

Character: B(+)

2V angle: 36-45º

Alterations: to gypsum, by hydration. This hydration increases the volume by up to 60% and starts at the cleavage planes.

May be confused with: some of the minerals that occur associated.

Gypsum has the same habit, but has gray interference colors, oblique extinction, and much worse cleavage quality.

Barite shows medium relief, lower quality cleavage and rarer twins.

Celestite may be similar, but has medium relief.

Quartz and feldspars in general do not show cleavage.

 

5. Reflected Light Microscopy

Reflected light microscopy is not the recommended analytical method for the identification of anhydrite. However, it is important to make a polished thin section or a polished section to identify the opaque minerals that occur associated with anhydrite in hydrothermal veins.

Sample preparation: anhydrite is easy to polish, like calcite, but there will always be polishing grooves due to the low hardness of the mineral. It is interesting to start the polishing with a finer than usual abrasive, use more water and apply less pressure in all the grinding and polishing steps.

PLANE POLARIZED LIGHT – PPL

Reflection color: Dark gray.

Pleochroism: No.

Reflectivity: Very low (4-7%)

Bireflectance: Strong.

CROSSED POLARIZED LIGHT – XPL

Isotropy / Anisotropy:  Anisotropy is possible, in gray-brown colors.

Internal reflections: Generalized, clear, milky to multicolored.

May be confused with: when in small crystals, it can be confused with many other transparent minerals of low reflectivity and clear to white internal reflections. In larger grains are diagnostic the polishing grooves, frequent twins and a long, thin tabular habit.

General Characteristics: 

Grain Shape: Arrangements of long, thin, tabular, semi-parallel crystals, often forming radial arrays, called “ice flower”, which are easy to identify in PPL. When anhydrite is very fine-grained, it does not show any diagnostic features.

Polishing scratches are difficult to eliminate; are usually still present.

Polishing pits, triangular, aligned or not, occur when the polishing is not perfect and the crystals are relatively large.

Multicolored internal reflections are visible in some spots even at PPL.

Polysynthetic twins are common, resembling calcite twins

<