GARNET

Garnet – A3B2(SiO4)3   A=(Mg,Mn,Ca,Fe), B=(Al,Cr,Fe) – is a very common nesosilicate, which can be found in igneous, metamorphic and sedimentary rocks. It is an important industrial mineral with many applications, mainly as an abrasive.

“Garnet” is actually not a mineral, but just a generic term referring to members of the Garnet Group: pyrope – Mg3Al2(SiO4)3, almandine – Fe2+3Al2(SiO4)3, spessartine – Mn2+3Al2(SiO4)3, uvarovite – Ca3Cr2(SiO4)3, hydrogrossular – [Ca3Al2(SiO4)3-x(H4O4)x], grossular – Ca3Al2(SiO4)3 and andradite – Ca3Fe3+2(SiO4)3. There is a solid solution series between grossular and andradite, and for unanalyzed members of this series the term “grandite” is used. Garnets usually are isotropic, but can be anisotropic (“Cesare B. et al. 2019, Garnet, the archetypal cubic mineral, grows tetragonal”). It is very difficult to differentiate the members of the Garnet Group just by their optical characteristics.

Each of the garnets has some varieties, usually based on the contents of other elements. Inclusions of rutile, riebeckite and other minerals may occur.

1. Characteristics

Crystal system: Cubic hexaoctaedrical. 

Color: Red, red-brown, violet, black.

Habit: Rounded grains are typical. Dodecahedrons, trapezohedrons, combined shapes. Massive. Poikiloblastic.

Cleavage: No.

Tenacity: Brittle.

Twinning: Rare

Fracture: Sub conchoidal.

Mohs Hardness: 7 – 7.5

Parting: On {110}.

Streak: White.

Lustre: Vitreous, greasy.

Diaphaneity: Transparent.

Density (g/cm³): 4.3

 

2. Geology and Deposits

Garnets are very common and occur in igneous, metamorphic and sedimentary rocks. They are very resistant and therefore ocurr in sediments derived from the weathering on these rocks.

Almandine is typical, porphyroblastic, in schists, gneisses, granites and pegmatites.

Pyrope occurs in ultramafic igneous rocks (pyroxenites, peridotites). Also in kimberlites and in contact metamorphic rocks.

Spessartite is typical of metamorphic rocks such as gneisses, schists, etc. Also in skarns.

Andradite is rare, from skarns, schists, serpentinites and titaniferous alkaline igneous rocks such as syenites and pyroxenites. A macroscopically black variety, titaniferous (up to 11.5% Ti), typical of alkaline volcanic rocks, is known as “melanite”.

Grossular is a characteristic garnet of gneiss.

Uvarovite is the rarest, found as a secondary mineral in metamorphic contact zones.

 

3. Mineral Associations

Garnets are associated with a very high number of other minerals, whose listing will never cover all situations. It is very commonly associated with quartz, micas (biotite, muscovite, chlorite), staurolite, tourmaline, feldspar (plagioclase, microcline), fluorapatite, beryl and many others.

 

4. Transmitted Light Microscopy

Refraction indices:  n: 1.83 (almandine)

PLANE POLARIZED LIGHT – PPL

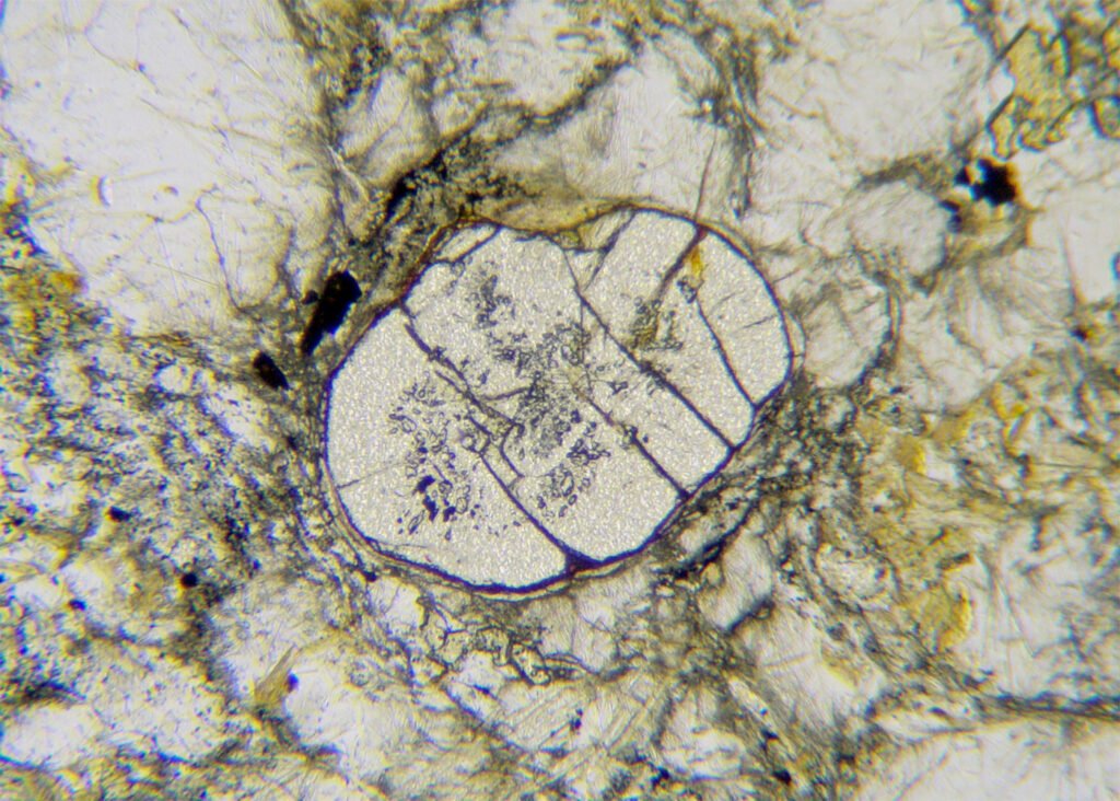
Color / Pleochroism: Usually colorless, more rarely pale pink, pale gray. Due to the very high relief, they simulate brown to cream colors. Never show pleochroism!

Colors are rare: light brown, yellow, reddish, greenish.

In volcanic rocks, melanite garnet has a strong reddish brown color, like the color of dark biotites and brown hornblende.

Relief: Very high (almandine), high (grossular).

Cleavage: None, but there are almost always many fractures.

Habits:

Usually as rounded grains, heavily fractured. Inclusions are very common and can be distributed over the entire grain (sieve texture) or form alignments (spirals) within the garnet grains.

In volcanic rocks, in melanite garnet, are more common cubic euhedral forms, sections with 4, 6 or 8 sides and polygonal sections.

CROSSED POLARIZED LIGHT – XPL

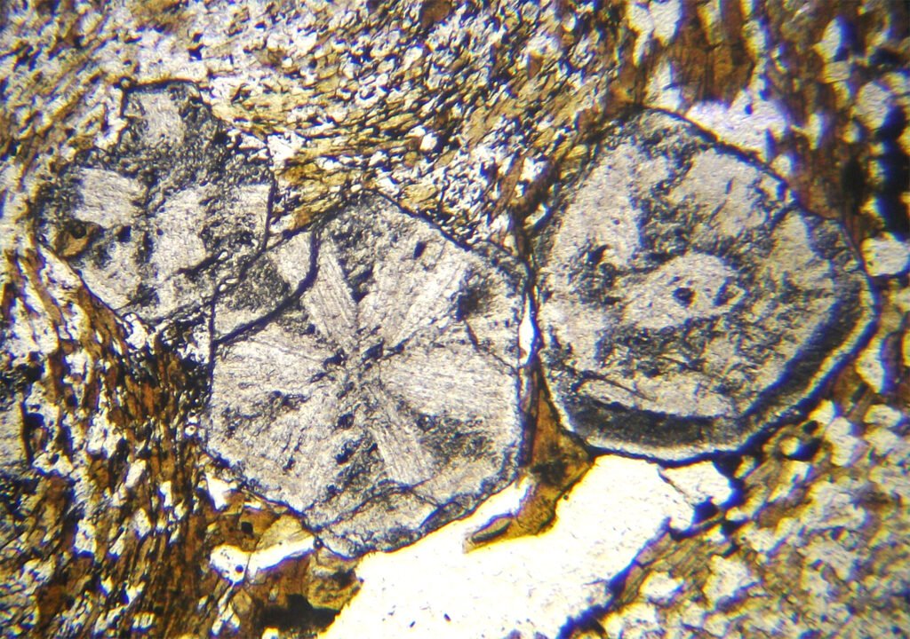
Birefringence and Interference Colors: Isotropic in most cases.

There are some situations where garnets are anisotropic (see reference cited in the introduction). Situations may occur in which the garnet’s nucleus is isotropic and the edges are anisotropic, usually concentrically zoned.

Extinction: Isotropic.

Elongation sign: No.

Twins: Almandine does not have twins. Other garnets occasionally may be twinned. Anisotropic garnets may show zoning by sectors. This zoning, when well developed, is very similar to a pseudohexagonal twin.

Zoning: Grossular is often zoned. Zonation in anisotropic garnets showing divisions into sectors is common.

CONVERGENT LIGHT

Character: Isotropic, but may be anomalously anisotropic.

2V angle: No.

Alterations: very resistant, it is a common detrital mineral, concentrated in sands.

By hydrothermal processes or low-grade metamorphism it can alter to chlorite, serpentine, hornblende, talc, epidote and iron oxides.

Edges altered to green chlorites, epidote and other minerals are called “keliphytic rims”.

May be confused with: other cubic minerals when isotropic. When anisotropic (which is rare!) it can be confused, in PPL, with other colorless minerals without cleavage and with high relief.

Spinel is similar, but occurs in octahedra and has a strong color.

Perovskite is similar but has even higher relief.

Periclase is very rare and has cleavage.

Vesuvianite is similar to anisotropic garnets with sector zoning.

 

5. Reflected Light Microscopy

Reflected light microscopy is not the recommended analytical method for the identification of garnets. However, it is important to make a polished thin section or a polished section to identify the opaque minerals that occur associated with garnets.

Sample preparation: Garnet polishing is simple, does not offer any difficulties and is of better quality than the polishing of other silicates that are generally associated with garnets. This great polish – diagnostic! – is due to the relatively high hardness of the garnet and the fact that it has no cleavage. 

PLANE POLARIZED LIGHT – PPL

Reflection color: Light gray, much lighter than quartz, feldspars in general and especially micas (biotite, muscovite, chlorite).

Pleochroism: No.

Reflectivity: Very low (<<10%).

Bireflectance: No.

CROSSED POLARIZED LIGHT – XPL

Isotropy / Anisotropy:  Anisotropy is not perceived.

Internal reflections:

Generalized in light red tones, in the case of red garnets. The reflections are quite dark, it’s a good idea to increase the light intensity and/or remove the blue filter to see them better. The shades of red range from almost colorless to a deep red, almost black, depending on the thickness of the garnet at the point considered. In garnets that macroscopically show other colors (yellowish, greenish) the reflections accompany these colors.

In the case of melanite garnet, from volcanic rocks, the reflections are very dark, practically black. The isotropy of the garnet contributes to this black color in XPL.

May be confused with: olivine, which also presents good polishing, but which is usually very fractured and with products of alteration in the fractures. Diagnostic for garnet are rounded shapes, superior polishing, reddish internal reflections and lack of cleavage. Other red transparent minerals may look similar but are much rarer.

<