NOSEAN

Nosean – Na8(Al6Si6O24)SO4.H2O – is a tectosilicate, a feldspathoid from the Sodalite Group. It is a characteristic mineral of alkaline volcanic rocks and has no economic importance other than a mineral for collection. Powdered alkaline rocks, on the other hand, are used in the glass and ceramics industry as fluxes.

Macroscopically, nosean can be confused with pale-colored hauynite; if it presents blue colors it is easily confused with lazurite.

1. Characteristics

Crystal system: Cubic hexaoctahedral.

Color: Colorless, white, grey, brown-gray, blue to black.

Habit: Dodecahedral crystals, may occur granular or massive.

Cleavage: {110} poor.

Tenacity: Brittle.

Twinning: On {111}.

Fracture: Irregular.

Mohs Hardness: 5.5

Parting: No.

Streak: White.

Lustre: Vitreous.

Diaphaneity: Transparent.

Density (g/cm³): 2.3 – 2.4

 

2. Geology and Deposits

Nosean is restricted to alkaline volcanic rocks, mainly phonolites, leucitites and nephelinites. The Sodalite Group occurs in rocks such as phonolites, alkali-basalts, trachytes and feldspathoid basalts.

 

3. Mineral Associations

Nosean occur associated with potassic feldspars (sanidine), other feldspathoids (nepheline, leucite, sodalite), micas (biotite, phlogopite), clinopyroxenes (augite, aegirine-augite), zeolites (natrolite), sulfides (pyrite), oxides (magnetite, ilmenite), garnet, zircon, titanite and calcite.              

More rarely with schäferite, liebenbergite, colusite and minerals from the Whitlockite Group.

 

4. Transmitted Light Microscopy

Refraction indices:  nε:  1,488    no: 1,495

PLANE POLARIZED LIGHT – PPL

Color / Pleochroism: Usually colorless to gray. It may be pale blue, but it is not pleochroic.

Relief: Very low (negative).

Cleavage: {110} poor, usually not visible under a microscope.

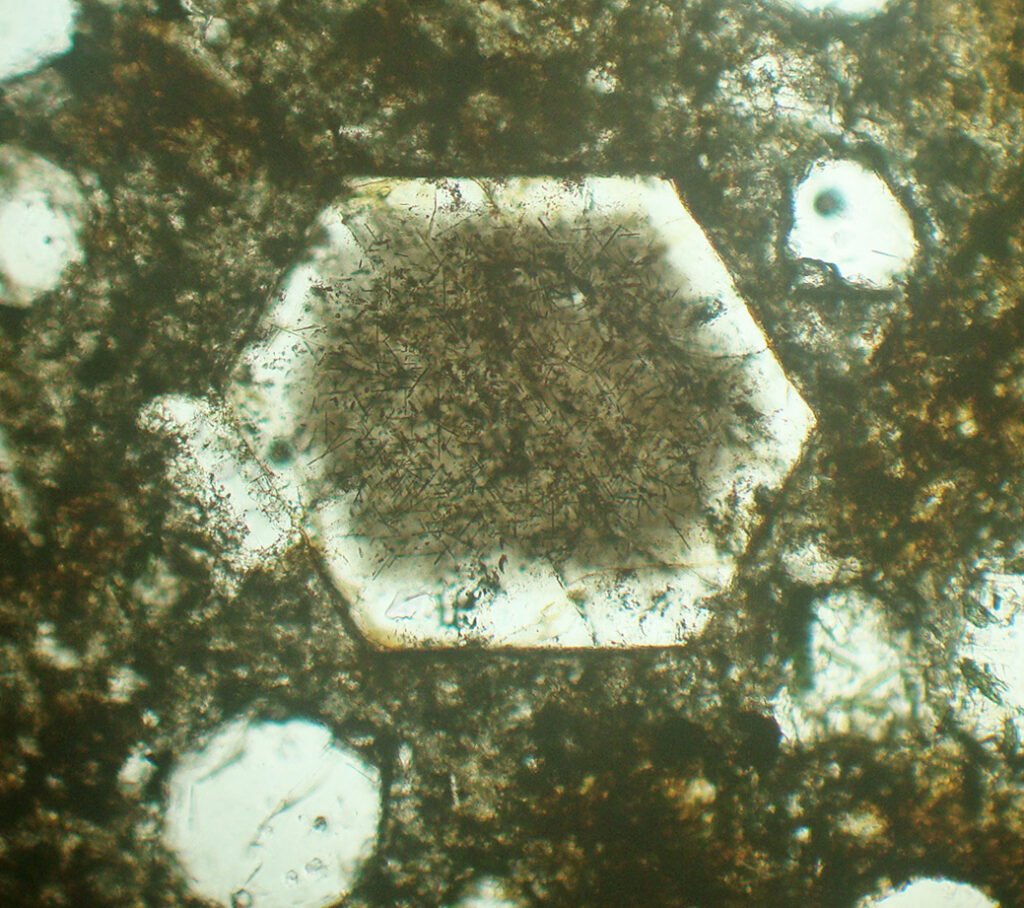
Habits: Dodecahedral, elongated pseudohexagonal prisms (sections with 6 sides), anhedral grains, clouded by inclusions.

Edges may be black. There may be inclusions in concentric zones.

CROSSED POLARIZED LIGHT – XPL

Birefringence and Interference Colors: Isotropic, but can simulate weak birefringence if it contains inclusions.

Extinction: Isotropic.

Elongation sign: Isotropic.

Twins: Simple twins.

Zoning: Frequently zoned.

CONVERGENT LIGHT

Character: Isotropic.

2V angle: Isotropic.

Alterations: alters to fibrous zeolites, usually natrolite, which develop and propagate from fractures. It also alters, by weathering, to clay minerals, calcite and cancrinite.

May be confused with: the Sodalite Group also includes sodalite and haüyne. It may be impossible to differentiate members of the Sodalite Group solely by their optical characteristics.

Sodalite is normally colorless, does not have abundant inclusions, and is the only one that occurs in plutonic rocks.

Haüyne is normally blue (pale or strong) on a thin section and usually contains dark inclusions that may be concentrated in sectors, planes, cores or edges.

Fluorite has excellent cleavage, much higher relief and occurs in other paragenesis.

 

5. Reflected Light Microscopy

Reflected light microscopy is not the recommended analytical method for the identification of nosean. However, it is important to make a polished thin section or a polished section to identify the opaque minerals that occur associated with nosean, like magnetite, ilmenite and pyrite.

Sample preparation: the polishing of nosean is simple, it follows the polishing of other feldspathoids and the associated feldspars.

PLANE POLARIZED LIGHT – PPL

Reflection color: Dark gray, darker then the color of feldspars.

Pleochroism: No.

Reflectivity: Low (<<10%).

Bireflectance: No.

CROSSED POLARIZED LIGHT – XPL

Isotropy / Anisotropy:  Isotropic, completely black.

Internal reflections: Nosean becomes completely black in XPL.

May be confused with: few other minerals. The behavior under Reflected Light, considering the paragenesis, is so unique that the mineral is easy to recognize.

General Characteristics: 

Grain shape tends to polygonal; hexagons are possible.

Polishing scratches do not occur.

Polishing pits do not occur.

Inclusions are common; they can be opaque or transparent.

Zonation can be observed without difficulties.

<